Welcome to our Community
Ivory Ridge is the newest up-and-coming subdivision located in the North Area of Grand Junction, Colorado. It consists of 25 acres of rolling hills and beautiful views. There are a little over 4 acres of protected wetlands where wildlife and native plants call home.









Explore the Possibilities…
This new subdivision boasts panoramic views of the Colorado National Monument, the Bookcliffs, and the Grand Mesa, while being tucked into a quiet neighborhood. Whether you’re the adventure enthusiast or a connoisseur of culture and art, living in the Grand Valley provides something for everyone, and Ivory Ridge is a beautiful place to call home and enjoy it all!
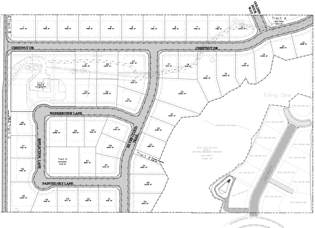
Ivory Ridge Filing One

Building lots with quick access to downtown Grand Junction, Mesa Mall, St. Mary’s Hospital and I-70.
Access from G road and Cloverdale Drive.
Filing 1 Pricing
Filing 1 is available for sale now. Lot sizes in Filing 1 range from 0.17-0.25 acres. The current concept of the future filings will include some walkout basements with stunning views. At completion, Ivory Ridge will have 66 lots in total.
*Subject to change
| Lot # | Approx. Acres | Sq. Ft. | Price |
| 1 | 0.23 | 9923 | SOLD |
| 2 | 0.25 | 10854 | $145,000 |
| 3 | 0.18 | 7889 | $134,000 |
| 4 | 0.17 | 7314 | $134,000 |
| 5 | 0.21 | 9276 | SOLD |
| 6 | 0.20 | 8524 | SOLD |
| 7 | 0.20 | 8722 | SOLD |
| 8 | 0.19 | 8136 | SOLD |
| 9 | 0.19 | 8136 | SOLD |
| 10 | 0.19 | 8136 | SOLD |
| 11 | 0.19 | 8175 | SOLD |
| 12 | 0.22 | 9382 | SOLD |
Utilities
Installed
- Water: Ute Water
- Sewer: GJ City
- Electric: Xcel
- Gas: Xcel
- Telephone: Charter
R-4
Zoning
Building Setbacks:
- Front: 20ft
- Side: 7ft
- Rear: 25ft
Schools
- Pomona Elementary
- West Middle School
- Grand Junction High School
Ivory Ridge Subdivision Future Lots

*Subject to change
Realtor
Ryan Goodman

ryan_g80@outlook.com
cell: 801-602-0055
office 970-773-5680
Developers

Stephanie Black
stephanie@blueskydevelopersgj.com
954-547-0165
I have lived in Grand Junction for nearly 15 years and have fallen in love with this beautiful valley. I’m an avid outdoor adventurer that loves to enjoy all the Grand Valley and Colorado has to offer whether it be hiking, mountain biking, cruising in the river, canyoneering, or climbing 14ers. I have two teenage kids that I love to be consumed with being their mom. I have a love for this valley, real estate, and enjoy the development world and creating a beautiful place for people call ‘home’.

Tyson Black
tyson@blueskydevelopersgj.com
970-260-7362
I moved to the Grand Valley nearly 15 years ago and have been enjoying it ever since. I am a local dentist as my profession, but have always had a passion for real estate and business. I have two teenage kids that I try to keep up with while running a full-time practice and developing a subdivision. In any spare time I have I love to golf, ride UTVs, spend time on the Grand Mesa hunting and fishing and being with family.


Ivory Glade Court, Grand Junction, CO 81506
